К сожалению я не могу это подтвердить.raevsku писал(а):Вопрос к Андрею Р., еще в 80-е оставался ж/д тупик. Или я ошибаюсь?
История железнодорожной станции Белоостров
- Zима
- Садовод
- Сообщения: 148
- Зарегистрирован: 28 май 2010 12:57
- Откуда: Заболотье, Суонтака, СНТ "Белоостров"
- x 1
да была там ж/д, узкоколейкаАндрей Р писал(а):К сожалению я не могу это подтвердить.raevsku писал(а):Вопрос к Андрею Р., еще в 80-е оставался ж/д тупик. Или я ошибаюсь?
на этой карте видно её хорошо
http://beloostrov.ru/img/map_finn_1939_slow.jpg
0 x
- Буквоед
- Знаток
- Сообщения: 7145
- Зарегистрирован: 24 ноя 2008 11:00
- Откуда: Старый Белоостров, СНТ "Ленавтотранс"
- x 296
Некоторая дополнительная информация к истории строительства и оформления "Вокзала, которого не было".
Сегодня в Русском музее открылась выставка под названием "Избранники Клио. Герои и злодеи русской истории". Подробнее можно посмотреть в репортаже З.Курбатовой , "Вести"-СПб. Упоминается художник Рутковский Н.Х., расписывавший Белоостровский вокзал. Краски для работы он доставал аж с помощью Кирова
. А потом нарисовал Кирова в гробу, и эта картина сейчас тоже выставлена в Р.М. К сожалению, не то, что картин, даже краткой биографии художника нагуглить не вышло; ничего, кроме дат жизни практически нет. Известно, что он работал в блокадном Ленинграде. Одна картина есть в Музее Суворова. И в 1972 г. был издан совместный альбом его и художницы В.А Раевской. Нынче, естественно, в антиквариате.
Сегодня в Русском музее открылась выставка под названием "Избранники Клио. Герои и злодеи русской истории". Подробнее можно посмотреть в репортаже З.Курбатовой , "Вести"-СПб. Упоминается художник Рутковский Н.Х., расписывавший Белоостровский вокзал. Краски для работы он доставал аж с помощью Кирова

0 x
Всё новое это хорошо забытое старое
- краевед эксперт
- Эксперт
- Сообщения: 1738
- Зарегистрирован: 26 янв 2008 23:42
- Откуда: СПб, пос. Белоостров
- x 8
Наверное речь идет о картинах, установленных внутри вокзала. Предпринял определенные попытки в части сбора информации по художнику Рутковскому (со стороны музеев Кирова и Русского). Предполагаю, что в конце этой недели кое-что может проясниться.Буквоед писал(а):
Сегодня в Русском музее открылась выставка под названием "Избранники Клио. Герои и злодеи русской истории". ...в репортаже З.Курбатовой[/b][/url] , "Вести"-СПб. Упоминается художник Рутковский Н.Х., расписывавший Белоостровский вокзал. .
Сотрудник музея С.М. Татьяна Анатольевна Сухарникова сказала, что к Кирову можно было совершенно свободно попасть и помогал он многим. Но музей никакими сведениями о Белоостровском вокзале не располагает.
0 x
краевед эксперт
- краевед эксперт
- Эксперт
- Сообщения: 1738
- Зарегистрирован: 26 янв 2008 23:42
- Откуда: СПб, пос. Белоостров
- x 8
Ныне появилась новая информация о вокзале Белоострова постр. в 1934г. Подробности уточняются, но в связи с этим возник вопрос:"Кто может подсказать-возможно ли сделать компьютерную сростку панорамы вокзала из 3-х фотографий внешнего вида здания со стороны основных путей на сайте в статье "Вокзал, которого не было"?
Постоянно при показе фото вокзала по отдельным фрагментам испытываю огромные трудности, т.к. далеко не все люди обладают хорошим пространственным мышлением и не могут представить общий вид в объеме.
Постоянно при показе фото вокзала по отдельным фрагментам испытываю огромные трудности, т.к. далеко не все люди обладают хорошим пространственным мышлением и не могут представить общий вид в объеме.
0 x
краевед эксперт
Присылайте на alexsvar@mail.ru, дальнейшее нераспространение гарантирую.
Качественно и профессионально.
Последняя проделанная сростка - космоснимок из трех частей, Ленинград 1966 года в размере 75000х25000 пикселей (1.5Гб). Уменьшенный результат http://www.aroundspb.ru/karty/146/len_1966_cosmos.html
Качественно и профессионально.
Последняя проделанная сростка - космоснимок из трех частей, Ленинград 1966 года в размере 75000х25000 пикселей (1.5Гб). Уменьшенный результат http://www.aroundspb.ru/karty/146/len_1966_cosmos.html
0 x
-
- Садовод
- Сообщения: 341
- Зарегистрирован: 20 июн 2009 23:38
- Откуда: СНТ "Белоостров"
- краевед эксперт
- Эксперт
- Сообщения: 1738
- Зарегистрирован: 26 янв 2008 23:42
- Откуда: СПб, пос. Белоостров
- x 8
Сегодня направил 7 фото вокзала.alexsvar писал(а):Присылайте на alexsvar@mail.ru, дальнейшее нераспространение гарантирую.l
0 x
краевед эксперт
Ничего не получал. Могло не дойти, если Вы прикрепляли фото к письму и оно получилось большого размера.
Упакуйте фото в один архив, архив загрузите на http://depositfiles.com/ru/ и пришлите ссылку на эту загрузку. Так будет правильнее.
Упакуйте фото в один архив, архив загрузите на http://depositfiles.com/ru/ и пришлите ссылку на эту загрузку. Так будет правильнее.
0 x
-
- Садовод
- Сообщения: 195
- Зарегистрирован: 03 мар 2011 12:14
- Откуда: Белоостров, ДНТ Речное
- x 78
- Контактная информация:
Уважаемые Господа-краеведы!
Давно читаю форум. Большое Вам спасибо за Ваши знания.
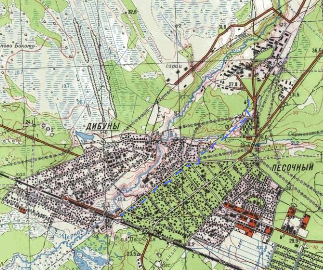
Читая эту тему, на фрагменте карты размещённой гн. Буквоед 28 Июн 2010 20:49, в районе Песочного, увидел обозначение ж/д путей перпендикулярно основной ветке.
Между переездом в Песочном и ручьём (в сторону Белоострова). Это ж/д ветка или мой топографический критинизм?
На других картах это не встречается.
Заранее спасибо за ответы.
Эдуард
Давно читаю форум. Большое Вам спасибо за Ваши знания.
Читая эту тему, на фрагменте карты размещённой гн. Буквоед 28 Июн 2010 20:49, в районе Песочного, увидел обозначение ж/д путей перпендикулярно основной ветке.
Между переездом в Песочном и ручьём (в сторону Белоострова). Это ж/д ветка или мой топографический критинизм?
На других картах это не встречается.
Заранее спасибо за ответы.
Эдуард
0 x
-
- Садовод
- Сообщения: 195
- Зарегистрирован: 03 мар 2011 12:14
- Откуда: Белоостров, ДНТ Речное
- x 78
- Контактная информация:
Но место добычи должно быть обозначено как гл.
Или раньше действовали другие стандарты?
А какого года эта карта? А есть фрагменты района Белоострова?
Заранее спасибо и извините за обилие вопросов от новичка.
Или раньше действовали другие стандарты?
А какого года эта карта? А есть фрагменты района Белоострова?
Заранее спасибо и извините за обилие вопросов от новичка.
0 x
Аренда миниэкскаватора в Белоострове и окрестностях (Сестрорецк, Солнечное, Зеленогорск)
+7 931 368 89 68.
https://vk.com/miniex47
https://www.instagram.com/nefedoved/
Так оно и обозначено..Эдуард Н писал(а):Но место добычи должно быть обозначено как гл.
1950-60-х.Эдуард Н писал(а):А какого года эта карта?
Всё тут: http://rutracker.org/forum/viewtopic.php?t=1621862Эдуард Н писал(а):А есть фрагменты района Белоострова?
0 x